Las grosellas rojas, como las blancas y negras, son una de las bayas más saludables que cultivan los jardineros en sus jardines. Las bayas de estos arbustos contienen muchos oligoelementos que son beneficiosos para la salud humana. Las hojas de la planta se utilizan para salar y encurtir verduras, para hacer deliciosos y aromáticos infusiones, se preparan compotas, mermeladas y conservas a partir de frutas. Es una pena hasta las lágrimas si las hojas y toda la planta están enfermas o sufren un ataque de plagas. Uno de esos insectos dañinos en las grosellas rojas es pulgón de la agalla... Decidimos hablar con más detalle sobre sus efectos nocivos y cómo lidiar con ellos.
¿Qué es el pulgón de la grosella roja?
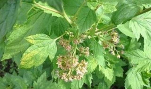
Por definición biológica las agallas en las plantas son hinchazones desagradables en las hojas y los brotes, pintado en diferentes colores según el tipo de patógeno o plaga. Tienen forma de nueces de tinta (cecidia). Se forman manchas rojo púrpura y formaciones feas en las hojas de grosellas rojas (ver foto), y la razón de esto es un insecto microscópico: el pulgón rojo. Es difícil verlo en el dorso de las hojas, pero puede causar un daño enorme, hasta la muerte de la planta.
El tamaño de una hembra adulta del pulgón de la grosella roja alcanza los 2-3 mm, son sin alas o aladas, dependiendo de la regeneración. Durante la temporada, tanto las hembras voladoras como las rastreras pueden poner varias nidadas de huevos (negros, oblongos, de tamaño microscópico), de los cuales emergen orugas verdes. Se convierten rápidamente en insectos adultos y están listos para su propia reproducción. Un pulgón hembra puede producir alrededor de 10 generaciones de su propio tipo durante el verano. De acuerdo con estos indicadores, se puede juzgar la cantidad de plagas que atacan a los arbustos de grosella roja, provocando la aparición de manchas rojas e hinchazones en las hojas de diferentes tamaños.
Las hojas de grosella roja, especialmente los brotes jóvenes, corren un gran peligro por el ataque de una gran cantidad de plagas glotonas que se alimentan de los jugos de las plantas, perforando sus delicados y suaves tejidos de hojas con una probóscide especial.
Los pulgones que se posan en las hojas de la grosella roja atraen a las hormigas a las que les gusta darse un festín con la melaza secretada por los pulgones. Pad es un líquido dulce y pegajoso, rico en proteínas y carbohidratos. Las hormigas, que protegen las colonias de pulgones en las grosellas, ahuyentan a las mariquitas, evitando que destruyan los pulgones.
Volando de un arbusto a otro, el pulgón transfiere patógenos de infecciones fúngicas, bacterianas y virales a groselleros sanos, infectándolos y poniéndolos en peligro de muerte. Las grosellas rojas (como las blancas) son más vulnerables que las grosellas negras. Es menos resistente a las enfermedades y a menudo sufre y muere si no recibe el tratamiento oportuno.
Enfermedades de la grosella roja.
En primavera y principios del verano, los arbustos de bayas no solo son atacados por plagas, con el comienzo del vuelo y el movimiento de los insectos, en brotes jóvenes y hojas jugosas y suaves de grosellas blancas, negras y rojas, pueden aparecer síntomas de diversas enfermedades, los patógenos de que son transportados por artrópodos y "agresores" alados.
Síntomas y tratamiento
Enfermedad: antracnosis
Los síntomas de la enfermedad.: aparecen pequeñas manchas rojas en las hojas, que crecen, se funden en una gran mancha marrón y informe, los pecíolos de las hojas se vuelven más delgados, se oscurecen, las hojas se secan y se caen prematuramente.
Causas: alta humedad más alta temperatura del aire (durante lluvias frecuentes), insectos vectores, clima ventoso, transferencia de esporas de una planta enferma a arbustos saludables.
Tratamiento y prevención: en otoño - procese los arbustos de grosella con líquido de Burdeos (solución al 1%), asegúrese de eliminar todas las partes infectadas de la planta, queme las hojas caídas. En la primavera rocíe la planta con sulfato de cobre (solución al 1%), excave el suelo cerca del arbusto, trátelo con la misma solución. Antes de florecer - puede utilizar productos químicos: epin, topsin-M, zircon. Durante la fructificación - Solo se utilizan agentes biológicos para el procesamiento: phytospori, gamair y otros.
Enfermedad: herrumbre cáliz
Los síntomas de la enfermedad.: las hojas de grosella con esta enfermedad fúngica están cubiertas con manchas de color marrón rojizo, aparecen crecimientos suaves en forma de pequeñas almohadillas en la parte posterior de la lámina de la hoja, que pueden agrietarse y liberar millones de esporas microscópicas, infectando todas las plantas alrededor.
Causas: presencia de maleza (juncos) en la parcela de jardín, en la que los hongos suelen encontrar su hábitat principal. En junio o julio, las plantaciones de hongos en malas hierbas Al alcanzar su tamaño máximo, las almohadillas que contienen esporas estallan, aumentando la zona infectada bajo la influencia del viento en la zona de 25 a 300 metros.
Tratamiento y prevención de enfermedades: en otoño, retire todas las ramas afectadas por el hongo, recoja y queme las hojas caídas, no las use en montones de abono. Trate los arbustos de grosella en otoño, principios de primavera, antes de la floración con fungicidas especiales (ver arriba), durante toda la temporada debe haber al menos tres pulverizaciones.
Enfermedad: spheroteka (mildiú polvoriento)
Los síntomas de la enfermedad.: en los frutos y hojas de grosellas rojas, aparece una floración gris-blanca similar a la harina, luego las hojas se retuercen y se secan, las bayas que aún no han madurado caen, el crecimiento joven de la planta se detiene.
Causas: malezas infestadas, ingreso de hongos de insectos, propagación de esporas por ráfagas de viento, humedad excesiva en el aire con lluvias frecuentes, cuando se crea un ambiente favorable para la propagación de infecciones fúngicas.
Prevención y tratamiento de la enfermedad.: trate la planta al menos 3-4 veces por temporada con fungicidas, en las primeras etapas recomendamos cortar manualmente las hojas y bayas afectadas; de los remedios caseros, la solución de soda es popular para tales tratamientos (disuelva 50 g de bicarbonato de sodio o soda cenizas por 10 litros de agua).
Enfermedad: septoria de grosella roja
Los síntomas de la enfermedad.: hay dos tipos de septoria: oxidada, cuando se forman protuberancias de color naranja brillante en las hojas de grosellas rojas, y blanca, en este caso, las manchas son redondas, gris-blancas con ribete marrón.
Causas: plantación espesa de arbustos, presencia de malas hierbas, infección por insectos o por el viento.
Prevención y tratamiento: en este caso, el tratamiento frecuente de plantas con fungicidas y preparaciones bacterianas, una gran selección de los cuales se ofrece en tiendas especializadas, también ahorra. Actúe estrictamente de acuerdo con las instrucciones adjuntas al empaque de cada producto, no exceda la concentración nominal de la sustancia, preparando la solución necesaria para procesar los arbustos de grosella roja.
Enfermedad: reversión (terry)
Los síntomas de la enfermedad.: falta de frutos durante 3-5 años, mutación de las placas foliares (las hojas tienen tres lóbulos en lugar de los cinco habituales), crecimiento excesivo de brotes jóvenes que engrosan los arbustos.
Causas: contaminación de plantas enfermas.
Tratamiento: aún no existen medicamentos para el tratamiento y prevención de esta enfermedad. La única forma de deshacerse de él y una medida para proteger otras plantaciones es arrancar completamente y quemar el arbusto enfermo. Desafortunadamente, esta enfermedad se ha estudiado poco, los medicamentos y las formas de combatirla aún no se han inventado, pero para tranquilizar a los jardineros, notamos que es extremadamente raro. En casas de verano y en parcelas privadas, donde la densidad de plantaciones de grosellas rojas es pequeña, casi nunca se encuentra. La reversión estalla en los territorios de las empresas agrícolas, donde se viola la tecnología de cultivo de grosellas y se permite una mayor frecuencia de plantación de arbustos.
Conclusión
Si amas tu jardín y proteges a cada planta de plagas y enfermedades, entonces tu trabajo en beneficio de ellos se verá "multiplicado por cien". Cada arbusto y árbol te lo agradecerá con una abundante cosecha, te deleitará con su apariencia saludable, y sus frutos te ayudarán a preparar deliciosos jugos, mermeladas, conservas que tu familia disfrutará todo el año.





